목록
작성일:25-11-15 02:48    조회:93회    댓글:0건
글 제 목

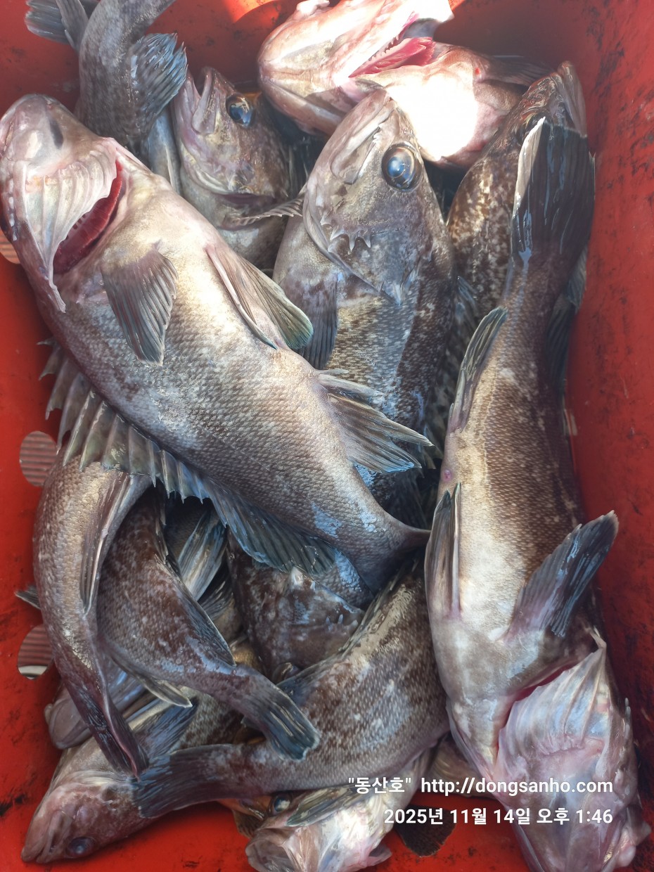
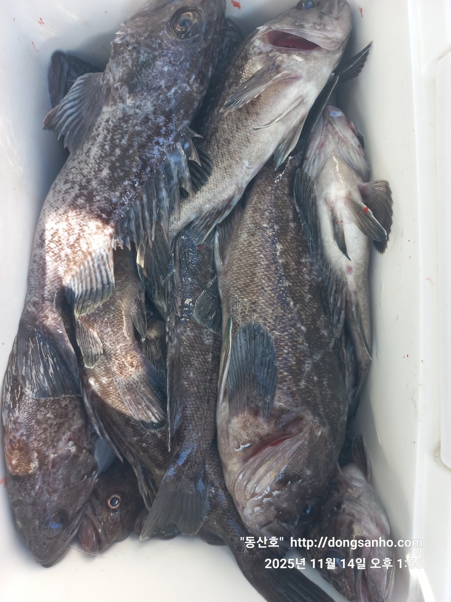
11/14 우럭낚시 연일만쿨~ 조황

작 성 자 동산호

본문




    ◇ 장고항 선상낚시 배낚시 바다낚시 낚시배 

 

       서해 동산피싱 "동산호" 우럭낚시 조황



    날짜 : 11월14일 (금요일)


    날씨 : 오전 맑음 =>> 살짝궁 바람


    물때 : 1물


    성적 : 우럭 볼락



    우럭낚시 네째날입니다.


    계속해서 우럭들 활성도 좋아서 어제는 초보포함 전원 만쿨 



    오늘은 담그면 우럭들이 더 달려드네요.


    더블 만쿨분도 있었지만 초보분들이 더 많아서인지 


    전체 조황은 어제보다는 조금 떨어져 보이네요.


   개인별 조황은 굿~굿~



   오늘 하루도 수고들하셨습니다.



    ☆쭈갑시즌 마무리중~

 

      쭈꾸미낚시 졸업식 출조는 11/24, 11/25 예약가능합니다.



 

    ※11~12월 광어 우럭낚시 개인출조 예약진행중입니다.


    ※11월 다잡아외수질 출조시 병행 광어 다운샷 가능합니다.

 

    ※빠른 조황정보는 "동산호" 밴드에서 확인 부탁합니다.

 

    ※출조일정 실시간 예약현황 예약등록가능  "클릭"

 

    ※예약문의 : 010-8771-5168



1d83b5011e8aa557f1940dab04e57778_1763142

1d83b5011e8aa557f1940dab04e57778_1763142

1d83b5011e8aa557f1940dab04e57778_1763142

1d83b5011e8aa557f1940dab04e57778_1763142

1d83b5011e8aa557f1940dab04e57778_1763142

1d83b5011e8aa557f1940dab04e57778_1763142

1d83b5011e8aa557f1940dab04e57778_1763142

1d83b5011e8aa557f1940dab04e57778_1763142

1d83b5011e8aa557f1940dab04e57778_1763142

1d83b5011e8aa557f1940dab04e57778_1763142

1d83b5011e8aa557f1940dab04e57778_1763142

1d83b5011e8aa557f1940dab04e57778_1763142

     #선상낚시 #배낚시 #바다낚시 #낚시배

       #장고항선상낚시 #장고항배낚시 #장고항바다낚시 #장고항낚시배  

       #당진선상낚시 #당진배낚시 #당진바다낚시 #당진낚시배

       #우럭낚시 #서해우럭낚시 #개우럭 #참우럭 #조피볼락

       #서해선상낚시 #서해배낚시 #서해바다낚시 #서해낚시배

       #쭈꾸미낚시 #주꾸미낚시 #갑오징어낚시 #서해쭈꾸미낚시 #서해주꾸미낚시 

       #당진쭈꾸미낚시 #당진주꾸미낚시 #장고항쭈꾸미낚시 #장고항주꾸미낚시

       #광어 #다운샷 #광어다운샷 #대광어 #외수질 #산새우외수질 #농어 

       #농어외수질 #농어외수질낚시 #서해안선상낚시 #서해안배낚시​ 

댓글목록

등록된 댓글이 없습니다.