목록
작성일:25-12-08 08:08    조회:20회    댓글:0건
글 제 목

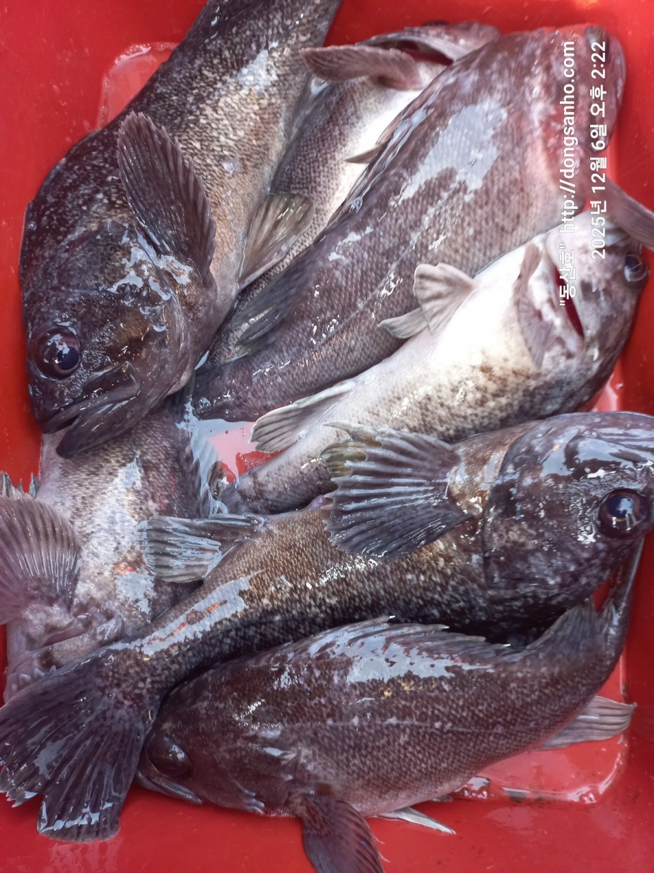
12/6 우럭 8물 사릿물 조황

작 성 자 동산호

본문



    ◇ 장고항 선상낚시 배낚시 바다낚시 낚시배 


         서해 동산피싱 "동산호" 우럭낚시 조황



    날짜 : 12월6일 (토요일)


    날씨 : 오전/바람  오후/똥바람


    물때 : 8물 (사릿물)


    성적 : 광어 우럭 볼락 아나고


 

   12월 첫출조를 사릿물에 우럭낚시 다녀왔읍니다.



    물때 좋은날은 기상악화 취소 일주일만에 사릿물에 출조


    수온은 아직까지는 우럭낚시하기에는 적당한데 오늘은 


    물이 너무 쎄다보니 정조시간 이외에는 딱히 갈곳이없네요.


   똥바람속에서 그냥 드실만큼씩만 잡고 퇴근



   다음달 1월부터는 사릿물에는 출조 패스~ 


   물때 13물~4물까지만 우럭낚시 진행합니다.



    오늘 하루도 수고들하셨습니다.



    ☆출조문자 확인후 궁금한 사항이 있으시면 꼭 문의주세요.


   ※12월 1월 2월 쭈욱~ 우럭낚시 예약진행중입니다.


    ※빠른 조황정보는 "동산호" 밴드에서 확인 부탁합니다.

 

    ※출조일정 실시간 예약현황 예약등록가능  "클릭"

 

    ※예약문의 : 010-8771-5168




4c6e56204e9603b776046c4a8322d005_1765148

4c6e56204e9603b776046c4a8322d005_1765148

4c6e56204e9603b776046c4a8322d005_1765148

4c6e56204e9603b776046c4a8322d005_1765148

4c6e56204e9603b776046c4a8322d005_1765148

4c6e56204e9603b776046c4a8322d005_1765148

4c6e56204e9603b776046c4a8322d005_1765148

4c6e56204e9603b776046c4a8322d005_1765148

4c6e56204e9603b776046c4a8322d005_1765148

4c6e56204e9603b776046c4a8322d005_1765148

     #선상낚시 #배낚시 #바다낚시 #낚시배

       #장고항선상낚시 #장고항배낚시 #장고항바다낚시 #장고항낚시배  

       #당진선상낚시 #당진배낚시 #당진바다낚시 #당진낚시배

       #우럭낚시 #서해우럭낚시 #개우럭 #참우럭 #조피볼락

       #서해선상낚시 #서해배낚시 #서해바다낚시 #서해낚시배

       #쭈꾸미낚시 #주꾸미낚시 #갑오징어낚시 #서해쭈꾸미낚시 #서해주꾸미낚시 

       #당진쭈꾸미낚시 #당진주꾸미낚시 #장고항쭈꾸미낚시 #장고항주꾸미낚시

       #광어 #다운샷 #광어다운샷 #대광어 #외수질 #산새우외수질 #농어 

       #농어외수질 #농어외수질낚시 #서해안선상낚시 #서해안배낚시​ 


댓글목록

등록된 댓글이 없습니다.