목록
작성일:25-11-08 04:35    조회:29회    댓글:0건
글 제 목

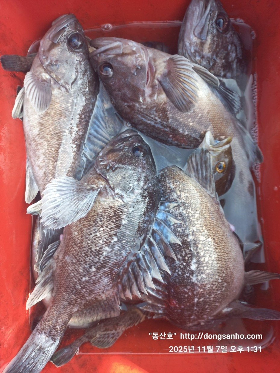
11/7 다잡아외수질 초보님 조황

작 성 자 동산호

본문




    ◇ 장고항 선상낚시 배낚시 바다낚시 낚시배 


         서해 동산피싱 "동산호" 다잡아외수질 조황



    날짜 : 11월7일 (금요일)


    날씨 : 맑음


    물때 : 9물 (대사릿물)


    성적 : 광어 우럭 볼락 갑오징어 



    오랜만에 다잡아외수질 다녀왔습니다.



    물높이 고저차이가 9m이상 마이너스 대사릿물 물이 엄청가네요. 


    꽐~꽐~ 물이 많이가는 오전에는 광어등 이것저것 잡다가 


    이른 점심식사후 짧은 정조시간에는 우럭 잡았네요.


    초보님들이 절반이상이라 좀 힘들긴 했어도 기대 이상으로 


    잘들해주셔서 드실만큼씩은 들고 가셨네요.



    1시조금 넘어서 미끼 엥꼬로 조기 마감후 입항했네요.


    출조시 채비 미끼등 여유있게 준비 부탁합니다.



    오늘 하루도 수고들하셨습니다.



 

   ※빠른 조황정보는 "동산호" 밴드에서 확인 부탁합니다.

   

   ※쭈꾸미낚시 예약신청은 11월말일까지 진행합니다.


   ※11~12월 농어 광어 우럭낚시 예약진행중입니다.

  

   ※출조일정 실시간 예약현황 예약등록가능  "클릭"

   

   ※예약문의 : 010-8771-5168



91be5c26f1bfa84e3b76671dc9c8f648_1762544

91be5c26f1bfa84e3b76671dc9c8f648_1762544

91be5c26f1bfa84e3b76671dc9c8f648_1762544

91be5c26f1bfa84e3b76671dc9c8f648_1762544

91be5c26f1bfa84e3b76671dc9c8f648_1762544

91be5c26f1bfa84e3b76671dc9c8f648_1762544

91be5c26f1bfa84e3b76671dc9c8f648_1762544

     #선상낚시 #배낚시 #바다낚시 #낚시배

       #장고항선상낚시 #장고항배낚시 #장고항바다낚시 #장고항낚시배  

       #당진선상낚시 #당진배낚시 #당진바다낚시 #당진낚시배

       #우럭낚시 #서해우럭낚시 #개우럭 #참우럭 #조피볼락

       #서해선상낚시 #서해배낚시 #서해바다낚시 #서해낚시배

       #쭈꾸미낚시 #주꾸미낚시 #갑오징어낚시 #서해쭈꾸미낚시 #서해주꾸미낚시 

       #당진쭈꾸미낚시 #당진주꾸미낚시 #장고항쭈꾸미낚시 #장고항주꾸미낚시

       #광어 #다운샷 #광어다운샷 #대광어 #외수질 #산새우외수질 #농어 

       #농어외수질 #농어외수질낚시 #서해안선상낚시 #서해안배낚시​ 

 

 

댓글목록

등록된 댓글이 없습니다.