목록
작성일:25-11-14 01:22    조회:10회    댓글:0건
글 제 목

11/13 우럭낚시 만쿨 Good 조황

작 성 자 동산호

본문




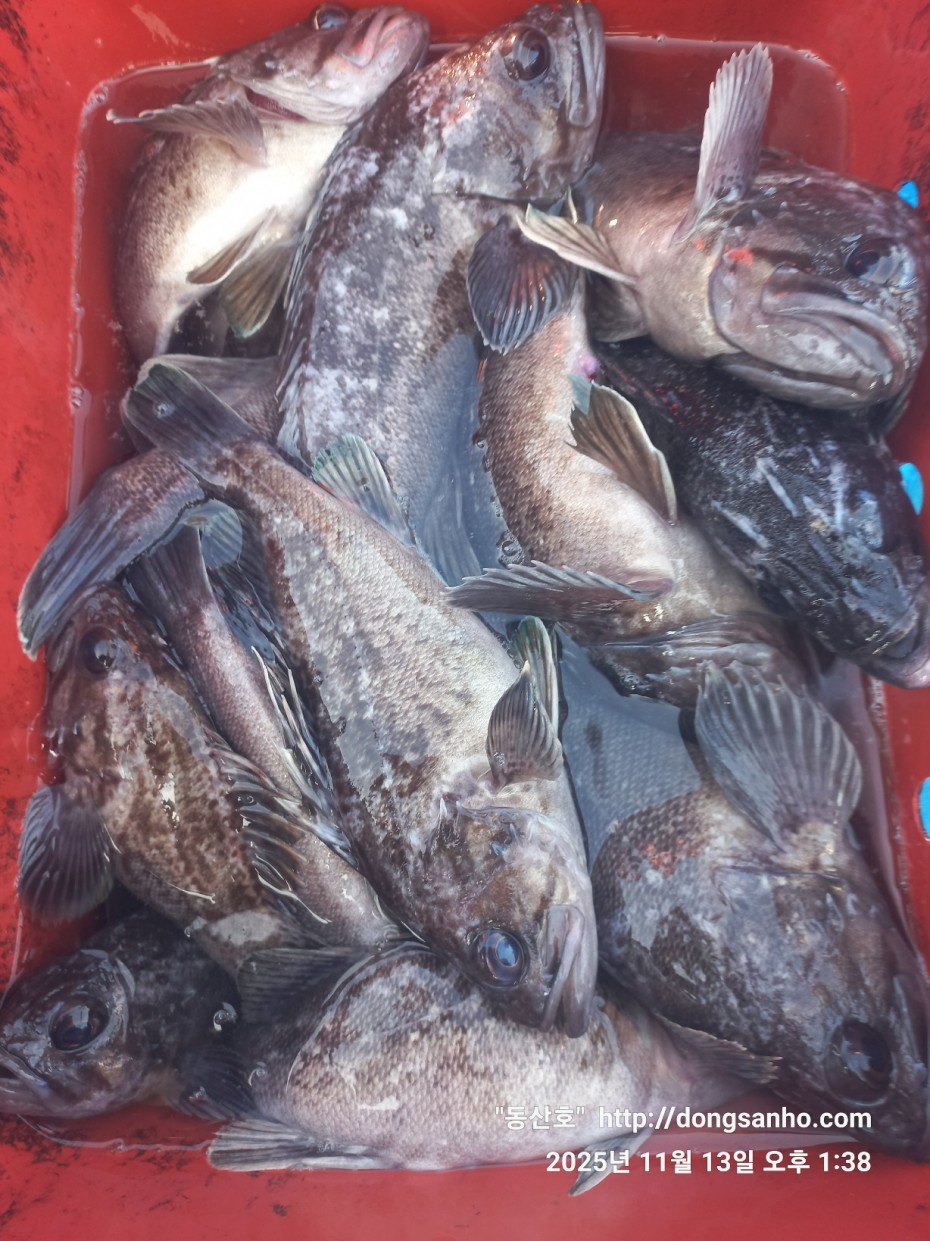
    ◇ 장고항 선상낚시 배낚시 바다낚시 낚시배 

  

        서해 동산피싱 "동산호" 우럭낚시 조황



    날짜 : 11월13일 (목요일)


    날씨 : 흐림 


    물때 : 무쉬


    성적 : 우럭 볼락



    우럭낚시 황금물때 세째날입니다.



    우럭 마리수도 씨알도 굿~


    초보님들도 여성분들도 모든분들 만쿨 굿~ 조황이네요.



    오늘 하루도 수고들하셨습니다.



    ☆쭈갑시즌 마무리중~

 

      쭈꾸미낚시 졸업식 출조는 11/24, 11/25 예약가능합니다.



    ※11~12월 광어 우럭낚시 개인출조 예약진행중입니다.


    ※11월 다잡아외수질 출조시 병행 광어 다운샷 가능합니다.

 

    ※빠른 조황정보는 "동산호" 밴드에서 확인 부탁합니다.

  

    ※출조일정 실시간 예약현황 예약등록가능  "클릭"

 

    ※예약문의 : 010-8771-5168



efee4ef6647736092ff8538e2f4cf72d_1763050

efee4ef6647736092ff8538e2f4cf72d_1763050

efee4ef6647736092ff8538e2f4cf72d_1763050

efee4ef6647736092ff8538e2f4cf72d_1763050

efee4ef6647736092ff8538e2f4cf72d_1763050

efee4ef6647736092ff8538e2f4cf72d_1763050

efee4ef6647736092ff8538e2f4cf72d_1763050

efee4ef6647736092ff8538e2f4cf72d_1763050

efee4ef6647736092ff8538e2f4cf72d_1763050

efee4ef6647736092ff8538e2f4cf72d_1763050

efee4ef6647736092ff8538e2f4cf72d_1763050

efee4ef6647736092ff8538e2f4cf72d_1763050

     #선상낚시 #배낚시 #바다낚시 #낚시배

       #장고항선상낚시 #장고항배낚시 #장고항바다낚시 #장고항낚시배  

       #당진선상낚시 #당진배낚시 #당진바다낚시 #당진낚시배

       #우럭낚시 #서해우럭낚시 #개우럭 #참우럭 #조피볼락

       #서해선상낚시 #서해배낚시 #서해바다낚시 #서해낚시배

       #쭈꾸미낚시 #주꾸미낚시 #갑오징어낚시 #서해쭈꾸미낚시 #서해주꾸미낚시 

       #당진쭈꾸미낚시 #당진주꾸미낚시 #장고항쭈꾸미낚시 #장고항주꾸미낚시

       #광어 #다운샷 #광어다운샷 #대광어 #외수질 #산새우외수질 #농어 

       #농어외수질 #농어외수질낚시 #서해안선상낚시 #서해안배낚시​ 

댓글목록

등록된 댓글이 없습니다.